Fichier 3@2x-8
icon_tel2x-8
icone_email2x-8
Prendre rdv pour vendre mon bien

Nalinnes - FO àpd 100000 €

Chemin de Logette

Planifier une visite
Calculer les frais
terrain

Superficie terrain
10a52ca

Pour tout renseignement et visite, veuillez contacter: Christopher Roekaerts - 071 30 30 52

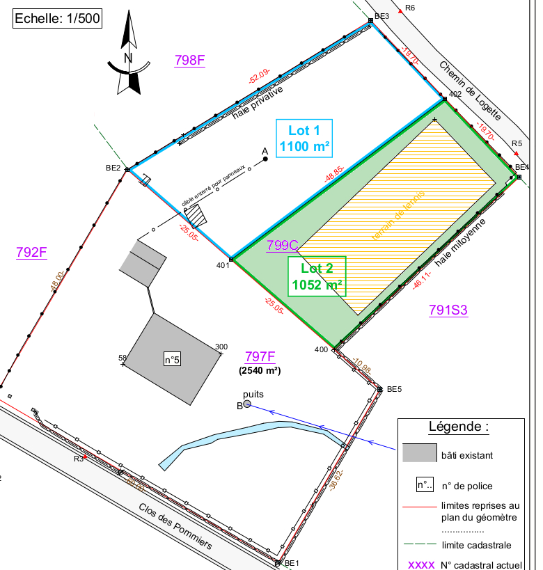
Adresse: Chemin de Logette – 6120 Nalinnes

Superbe parcelle de terrain de 10a52ca avec 19,7m de façade (lot 2 du plan de division). Orientation parfaite au Sud-Ouest. Zone d’habitat.

Division en cours. La vente aura lieu sous la condition suspensive d’absence d’avis défavorable de la commune et du fonctionnaire délégué sur la division envisagée.

Zone d’aléa faible d’inondation, zone d’habitat à 100%.

Faire offre à partir de 100.000 euros – Prix d’achat immédiat: 110.000 euros

Adresse : Chemin de Logette

Superficie de la propriété :10a52ca

Faire offre à partir de : 100000 €

Prix d'achat immédiat :110000 €

Label énergétique: Ne s'applique pas

Électricité : Ne s'applique pas

Aléa d'inondation :Faible

Cave:Oui

Documents disponibles :

PDF Plans du bien